조황관리HOME / 조황관리 / 상세정보

제목 : 목포신세계피싱 감섬돔출조 마릿수풍부
등록일 : 2026-04-20



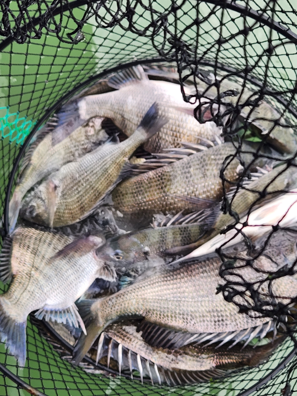
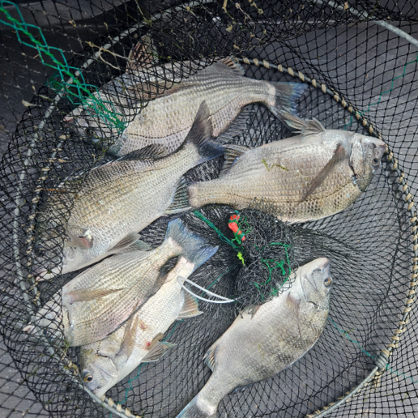
19일 다녀왔습니다
풍부한 조과 마리수 드글 드글
즐거운손맛 보았습니다
 매일 출조 합니다

●감성돔낚시●
1인 선비 10만
무료(낚시대/점심/장갑/물)

별도ㅡ미끼/채비
 ( 현장구매가능 )
패캐지이용ㅡ몸만가능

출조 ‥오전6시
하선 ‥오후 3시
☆물때에 따라변동됨
(맞춤형 독배전용6척보유)



예약참고하십시요
네이버예약*밴드*전화*문자 *톡톡*선상24등등 다양한 사이트로 예약을 받는 관계로
 예약관리ㅡ 남은자리 현황이 맞지 않습니다

 정확한 예약현황은
유선문의 010 4058 4703 주십시요



1776591946117.jpg


1776574121127.jpg


1776583780384.jpg


1776583780441.jpg


1776583780329.jpg


1776591946038.jpg


1776573943658.jpg


1776573943806.jpg


1776573943957.jpg


1776574895747.jpg


1776574895623.jpg



실시간조황ㅡ밴드
https://band.us/@shinsegaefishing


*** 목포 신세계피싱 예약 안내 ***


예약문의 : 010-4058-4703

오시는길 : 전남 목포시 고하대로597번길 7

모바일.gif 

Top