활성도 미쳤습니다 감성돔 싹슬이 내일출조합니다ㅡ마릿수 나옵니다4월말일 까지 출조합니다감성돔낚시●1인 선비 10만/12만무료(낚시대/점심/장갑/물)별도ㅡ미끼/채비 ( 현장구매가능
14일 단체낚시 다녀왔습니다 신나는 추억 만듭니다즐거운시간 짜릿한손맛 내일출조합니다매일출조16일17일18일☀️목포도다리낚시선비1인ㅡ 70000원무료(낚시대/점심/장갑/물)
카고낚시 감성돔 조황~~ 매우 만족 떼고기 잡았습니다활성도 미쳤습니다 내일출조합니다ㅡ마릿수 나오네요 기대합니다감성돔낚시●1인 선비 10만/12만무료(낚시대/점심/장갑/물)별도ㅡ미끼
카고낚시 감성돔 조황 활성도 좋습니다^^내일출조합니다ㅡ마릿수좀 나오네요 기대합니다감성돔낚시●1인 선비 10만무료(낚시대/점심/장갑/물)별도ㅡ미끼/채비 ( 현장구매가능 )패캐지이용
13일 감성돔다녀왔습니다이른 새벽출항바글바글 합니다ㅡ핵폭탄내일출조합니다ㅡ마릿수기대하십니다감성돔낚시●1인 선비 10만무료(낚시대/점심/장갑/물)별도ㅡ미끼/채비 ( 현장구매가능 )패캐
12일 도다리낚시 다녀왔습니다오전안개자욱 흐린하늘이 종일벗겨지지 않은채이지만나름 즐거운손맛 보셨습니다내일출조합니다물때좋아요13일14일15일☀️목포도다리낚시선비1인ㅡ 70000
11일~~ 출조 다녀왔습니다^^도다리낚시활성도 좋은날 마릿수 매우좋습니다도다리~~ ( 보너스~~~ 감성돔 )1석2조매일출조합니다 ㅡㅡ 내일 출조^^ 합니다 ●도다리낚시●1인 선비
10일감성돔낚시 대박사이즈 5짜이상급 올라왔습니다내일출조 합니다●감성돔낚시●1인 선비 10만무료(낚시대/점심/장갑/물)별도ㅡ미끼/채비 ( 현장구매가능 )패캐지이용ㅡ몸만가능출조 ‥오전6시하선 ‥오후 3시☆물때에 따라변동됨(맞춤형 독배전용6척보유)????사전예약????●몸만오시면됩니다■(패캐지이용)예약참고하십시요 네이버예약*밴드*전화*문자 *톡톡*선상24등등 다양한 사이트로 예약을 받는 관계로 예약관리ㅡ 남은자리 현황이 맞지 않습니다 정확한 예약현황 유선문의 010 4058 4703 주십시요 실시간조황ㅡ밴드https://band.us/@shinsegaefishing*** 목포 신세계1호 예약 안내 ***예약문의 : 010-4058-4703오시는길 : 전남 목포시 고하대로597번길 7홈페이지 : https://shinsegaefishing.sunsang24.com/
감성돔 올라 옵니다^^사이즈 다양 합니다돔회맛이 쫄깃합니다~~제철식감 입맛이 최고욤 내일 출조합니다!!마릿수 기대됩니다감성돔낚시●1인 선비 10만// 12만무료(낚시대/점심/장
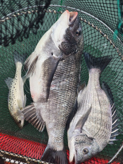
종햡세트조과 입니다 ( 보너스~~~귀한 감성돔 /농어/장어)매일출조합니다 ㅡㅡ 내일 낚시출조^^ 합니다 ●도다리낚시●1인 선비 7만무료(낚시대/채비/점심/장갑/물)별도ㅡ미끼 ( 현









