조황관리HOME / 조황관리 / 상세정보

제목 : 목포감성돔낚시 14일 출조 돔~ 타작조황
등록일 : 2026-04-14



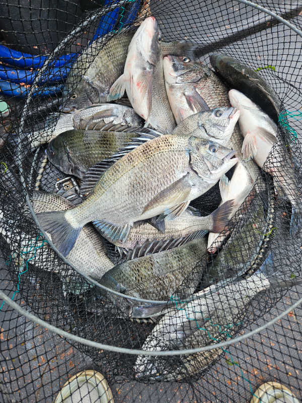
카고낚시 감성돔 조황~~ 매우 만족 
떼고기 잡았습니다
활성도 미쳤습니다 

내일출조합니다ㅡ마릿수 나오네요 기대합니다


감성돔낚시●
1인 선비 10만/12만
무료(낚시대/점심/장갑/물)

별도ㅡ미끼/채비
 ( 현장구매가능 )
패캐지이용ㅡ몸만가능

출조 ‥오전6시
하선 ‥오후 3시
☆물때에 따라변동됨
(맞춤형 독배전용6척보유)

예약참고하십시요
네이버예약*밴드*전화*문자 *톡톡*선상24등등
다양한 사이트로 예약을 받는 관계로
 예약관리ㅡ 남은자리 현황이 맞지 않습니다

 정확한 예약현황은
유선문의 010 4058 4703 주십시요


1776137962728.jpg


1776134722721.jpg


1776134722505.jpg


1776134722548.jpg


1776134722589.jpg


1776134722463.jpg





1776134722397.jpg



실시간조황ㅡ밴드

https://band.us/@shinsegaefishing


*** 목포 신세계피싱 예약 안내 ***


예약문의 : 010-4058-4703

오시는길 : 전남 목포시 고하대로597번길 7

모바일.gif 

Top