조황관리HOME / 조황관리 / 상세정보

제목 : 목포신세계피싱 10일출조대물 5.5짜 손맛
등록일 : 2026-04-10



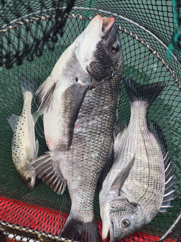
10일감성돔낚시 
대박사이즈 5짜이상급 올라왔습니다

내일출조 합니다

●감성돔낚시●
1인 선비 10만
무료(낚시대/점심/장갑/물)

별도ㅡ미끼/채비
 ( 현장구매가능 )
패캐지이용ㅡ몸만가능

출조 ‥오전6시
하선 ‥오후 3시
☆물때에 따라변동됨
(맞춤형 독배전용6척보유)

????사전예약????
●몸만오시면됩니다
■(패캐지이용)

예약참고하십시요
네이버예약*밴드*전화*문자 *톡톡*선상24등등 다양한 사이트로 예약을 받는 관계로
 예약관리ㅡ 남은자리 현황이 맞지 않습니다

 정확한 예약현황
유선문의 010 4058 4703 주십시요



1775793711535.jpg


1775793711601.jpg


1775793711651.jpg


1775793711756.jpg


1775793711713.jpg


1775793711835.jpg


1775772696852.jpg


1775774879204.jpg

 

실시간조황ㅡ밴드
https://band.us/@shinsegaefishing


*** 목포 신세계1호 예약 안내 ***


예약문의 : 010-4058-4703

오시는길 : 전남 목포시 고하대로597번길 7

모바일.jpg

Top